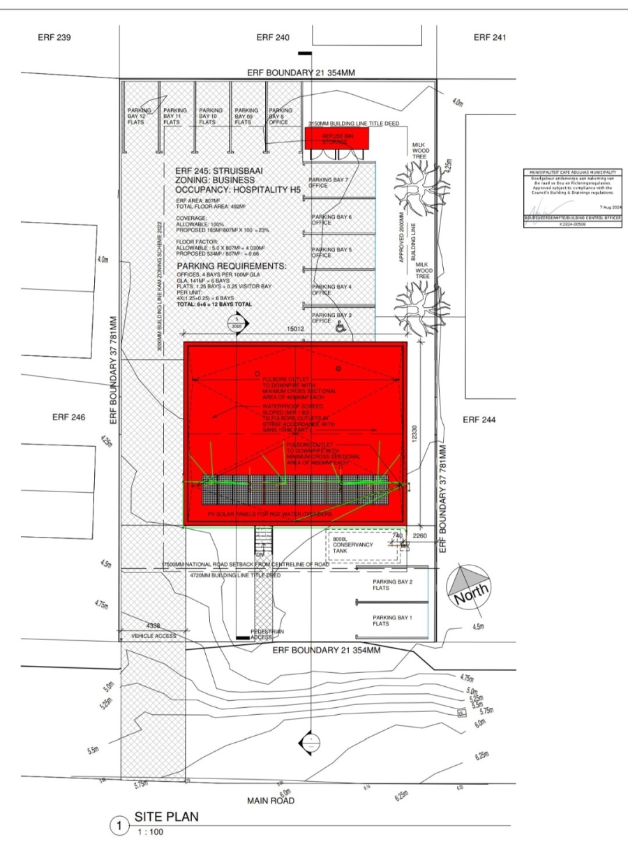
Discover an exceptional investment opportunity in the charming coastal town of Struisbaai, renowned for its 14 km-long beach, rich fishing heritage, and vibrant outdoor activities. Perfectly positioned close to the sea on the main street, this 807-square-meter erf offers a prime location near the southernmost tip of Africa, making it an ideal spot for both business and leisure. Ideal opportunity to own your own Apartment in the Struis Baai Main road. There is 1 unit of 124 sqm available @ R3000 000. Plans attached demonstrate the layout of the building and apartment layout. Ideal for a holiday apartment or permanent living close to the sea. This is positioned on the top floor with beautiful sea views.
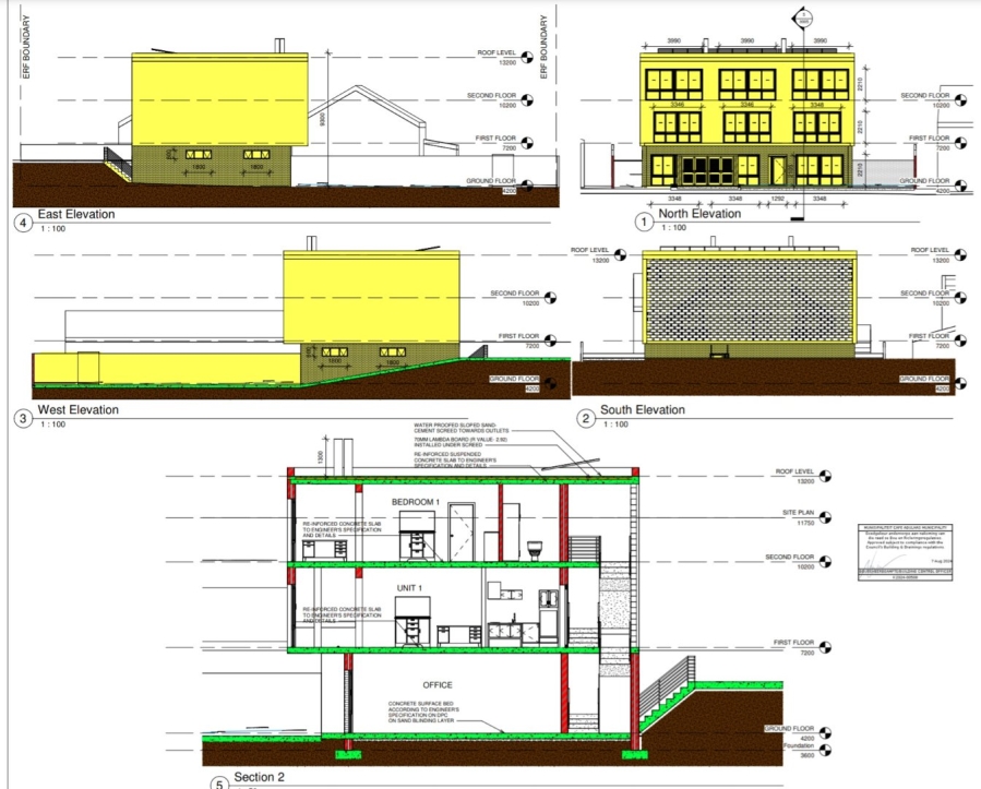
This upcoming development features a versatile mixed-use building with fantastic sea views from the apartments. The ground floor includes three open commercial spaces of approximately 29 square meters each, perfect for offices or retail. Additionally, there are three one-bedroom apartments of about 41 square meters on the first floor, ideal for holiday rentals or permanent residence. The second floor boasts a spacious 2/3-bedroom apartment of approximately 124 square meters, providing stunning sea vistas for relaxed coastal living. Convenient downstairs parking ensures easy access for tenants and visitors. Potential rental income of R11000 per month per unit
Struisbaai is a coveted holiday destination with a vibrant history, from its origins as a fishing village to its current reputation for whale watching, diving, hiking, horseback riding, and quad biking. Landmarks like the Hotagterklip cottages and the Shipwreck Museum offer fascinating insight into the area's maritime past. The nearby De Mond Nature Reserve adds to the town’s appeal, along with annual events like the Geelstertfees.
This development combines the allure of Struisbaai’s natural beauty and historical charm with strong commercial and residential potential — a rare opportunity to secure property in Struisbaai.
This is an EXCLUSIVE mandate